Company Logo
SIGN UP LOGIN

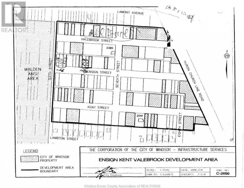
V/l Ensign, Windsor, ON A0A0A0

$78,000
  • Main Photo

2 Total Photos [Click to View All]

Active
LOT SIZE 60x110.32 MLS#22016942
STATUSActive PROPERTY TYPELand - Residential

Property Description

PRIME SOUTH WINDSOR FUTURE RESIDENTIAL BUILDING LOTS,2 LOTS OF 30 FEETS FRONTAGE, CLOSE TO BRIDGE, SHOPPING, SCHOOLS, AND MOSQUE. PROPERTY TO BE VERIFED BY BUYER FOR ALL SERVICES AND ANY OFFER RESTRICTIONS FOR DEVELOPMENT FROM THE CITY OF WINDSOR. (id:52350)

V/l Ensign | MLS# 22016942

This land located at V/l Ensign, Windsor, ON is currently listed for sale with an asking price of $78,000. The property has approximately 0.15 Acres.

Property Features

Property Type: Land - Residential
Lot Size: 0.15 Acres

Feature Descriptions

Board Association: Windsor-Essex County Association of REALTORS®
Days on Site: 1168
Lot Dimensions: 60x110.32
Property Sub Type: Vacant Land
Sewer: See remarks
Title: Freehold

Listed By / Shown By

Listed By

Agency Name: REGENCY REALTY LIMITED BROKERAGE
Agency Phone: 519-734-5656

Shown By

Agency Title: Solid Rock Realty Inc
Agency Phone: 855-484-6042

IDX logo

Estimate Your Payment

Estimated Payment

$ 196.34 per month $173.59 Principal & Interest $0.00 Property Tax (data not provided by mls) $22.75 Homeowner's Insurance

Change Payment Information

%
years/fixed
yearly
yearly (est.)
(Payments are an estimate and may vary by lender)

Login to My Homefinder

Register to View this Listing

Why Create an Account?

If you're searching for your next home, or just curious about the market there is no better tool to help you quickly find homes that meet your needs and wants.

With an account you can:

  • Save your favorite listings
  • Save searches with your important parameters
  • Be emailed about new listings that meet your criteria
  • Be notified of changes to your saved listings such as a price reduction or when a property goes off the market
  • Keep track of homes you have recently viewed

Sign Up Today

At least 6 characters with one uppercase, one lowercase, and one number

Already have an account? Sign in here.

Forgot your password?